神稲建設開発部

DETAILS

物件詳細

HOME > 買いたい<物件詳細>

住宅用土地

日当たり良好!景観良好!

/

所在地
下伊那郡高森町大島山

価格 400 万円

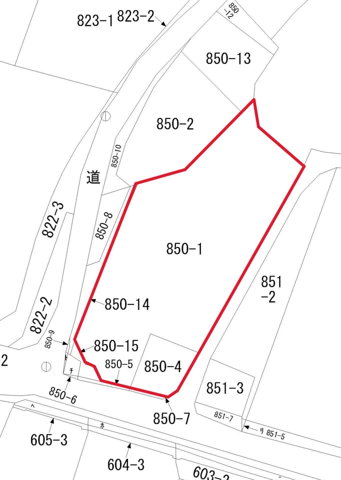
土地面積公簿  580.28㎡ (175.53坪)

坪単価2.28万円

所在地 下伊那郡高森町大島山 区画名
価格 400万円 坪単価 坪単価2.28万円
土地面積 公簿  580.28㎡ (175.53坪) 私道負担面積
地目 用途地域
建ぺい率 容積率
適する用途 都市計画法
手数料 引渡 相談
湯権 下水道
通学区 高森町立高森北小学校 (2500m)
高森町立高森中学校 (2400m)
その他一時金
設備
接道状況
交通 電車: 飯田線市田駅 距離3600m 徒歩45分 車9分
バス: 柿丸あったか線 瑠璃寺バス停 距離70m 徒歩1分 
高速道路: 中央道 座光寺スマートI.C. 車10分 
備考 ・土地権利:所有権
・都市計画:区域外
・用途地域:無指定
・地目:宅地(1筆)・畑(1筆)
・最適用途:住宅用地 
・地勢:一部傾斜地あり 
・現況:更地
・接道:公道 道路幅員:4.0m 方角:南側 接面:13.5m
法令上の制限:農地法・高森町景観条例
建蔽率:60% 容積率:100%
設備:上下水道敷地内引き込み必要/電気/プロパンガス
引渡し時期:相談
特記事項:農振除外申請必要・高森景観条例
縁石あり、敷地内進入路については要相談
媒介手数料:198,000円(税込)
担当:矢澤

ーー周辺施設ーー
JR飯田線市田駅:3,000m(徒歩38分)
高森南小学校:2,500m(徒歩32分)
高森中学校:2,400m(徒歩30分)
下伊那厚生病院:4,100m(徒歩52分)
高森町役場:3,200m(徒歩40分)
高森パース:4,600m(徒歩58分)
MEGAドン・キホーテUNY高森店:5,300m(徒歩67分)
カインズ高森店:5,200m(徒歩65分)
管理番号 20241101 取引態様 一般媒介
開発総面積 総販売面積
販売区画数 工事完了予定年月
ランニングコスト 土地権利
所属団体 (公社)長野県宅地建物取引業協会
(公社)首都圏不動産公正取引協議会
最終更新日 2025-10-26

担当者より

マップ

※物件位置が表示されていない場合もあります。 正確な位置は取り扱い会社へお問い合わせください

周辺施設

  • JR飯田線市田駅

    JR飯田線市田駅

  • 高森南小学校

    高森南小学校

  • 高森中学校

    高森中学校

  • 高森町役場

    高森町役場

  • 下伊那厚生病院

    下伊那厚生病院

  • 高森パース

    高森パース

  • MEGAドン・キホーテUNY高森店

    MEGAドン・キホーテUNY高森店

  • カインズ高森店

    カインズ高森店

物件のお問い合わせ

物件情報 物件番号:434427 / 住宅用土地 / 下伊那郡高森町大島山 / 価格:400万円
お名前 必須
電話番号 必須
FAX
※FAXで資料送付をご希望の方は、必ず入力してください。
メールアドレス 必須
資料送付先 郵便番号 
住所 
※郵送で資料送付をご希望の方は、必ず入力してください。
お問い合わせ種別 資料をメールで送ってほしい
資料をFAXで送ってほしい
資料を郵送してほしい
現地を見てみたい
電話で聞きたい
ご質問内容
ご希望の条件、ご予算、その他質問事項があればご記入ください

page_top